Udostępnianie informacji przestrzennych za pomocą nowoczesnych technologii informatycznych w dzisiejszym świecie służy już nie tylko organom administracji publicznej, ale również zwykłemu obywatelowi, który coraz bardziej świadomie podchodzi do tematów przestrzeni publicznej. Aby jednak świadomie wykorzystywać dane i informacje, zgromadzone między innymi w bazie danych obiektów topograficznych (BDOT), konieczne jest poznanie samej bazy oraz potencjału danych w niej zawartych. W dzisiejszym wpisie zajmiemy się bazą BDOT500, która modeluje obiekty stanowiące treść mapy zasadniczej w kierunku wyższego poziomu szczegółowości.
BDOT500 baza danych obiektów topograficznych
- Baza Danych Obiektów Topograficznych (BDOT) jest zbiorem danych przestrzennych stanowiącym punkt odniesienia dla różnorodnych opracowań tematycznych pozwalająca na udostępnianie informacji topograficznych.
- Baza BDOT500 jest zakładana dla terenów miast oraz zwartych zabudowanych i przeznaczonych pod zabudowę obszarów wiejskich.
- 30 lipca 2021 r. opublikowano rozporządzenie ministra rozwoju, pracy i technologii z dnia 23 lipca 2021 r. w sprawie bazy danych obiektów topograficznych oraz mapy zasadniczej. Najważniejszą zmianą powstałą na skutek noweli prawa jest przeniesienie do bazy BDOT500 obiektów, które nie będą już wykazywane w ewidencji gruntów i budynków oraz obiektów budowlanych trwale związanych z budynkiem.
- W Raportach o Terenie dostępna jest mapa uzbrojenia terenu, dzięki której sprawdzisz dostęp do sieci uzbrojenia terenu dla swojej działki.
Baza Danych Obiektów Topograficznych
Baza Danych Obiektów Topograficznych (BDOT) jest zbiorem danych przestrzennych stanowiącym punkt odniesienia dla różnorodnych opracowań tematycznych pozwalająca na udostępnianie informacji topograficznych. To znaczy, że baza zawiera informacje o:
- własnościach geometrycznych i relacjach przestrzennych,
- cechach, funkcjach i właściwościach obiektów, zjawisk i procesów, odniesionych do powierzchni Ziemi, wybranych i scharakteryzowanych zgodnie z przyjętymi założeniami dla tworzonego modelu topografii terenu.
BDOT w Polsce tworzy Służba Geodezyjna i Kartograficzna na podstawie Ustawy z dnia 17 maja 1989 r. – Prawo geodezyjne i kartograficzne (Dz. U. 2021 r. poz. 1990), w ramach projektu „Georeferencyjna Baza Danych Obiektów Topograficznych” wraz z krajowym systemem zarządzania.
Mówiąc o Bazie Danych Obiektów Topograficznych wyróżniamy dwa poziomy dokładności i szczegółowości map topograficznych:
- BDOT10k;
- BDOT500.
Baza Danych Obiektów Topograficznych - BDOT10k
BDOT10k to baza o poziomie dokładności danych i szczegółowości map topograficznych w skali 1:10 000, zawierająca informacje o lokalizacji przestrzennej i atrybuty opisowe obiektów topograficznych. Zasób informacyjny BDOT10k umożliwia w szczególności opracowanie map topograficznych w skalach: 1:10 000, 1:25 000, 1:50 000 i 1:100 000.

Zasób BDOT10k jest tworzony w oparciu o wektoryzację ortofotomapy cyfrowej, pomiary bezpośrednie, wykorzystanie danych BDOT500 oraz innych rejestrów prowadzonych przez instytucje publiczne takich jak: EGiB (ewidencja gruntów i budynków), GESUT (geodezyjna ewidencja sieci uzbrojenia terenu), PRG (państwowy rejestr granic i powierzchni jednostek podziałów terytorialnych kraju), PRNG (państwowy rejestr nazw geograficznych), TERYT.
Baza Danych Obiektów Topograficznych – BDOT500
BDOT500 to baza danych przestrzennych o szczegółowości odpowiadającej mapie zasadniczej w skali 1:500. Baza jest zakładana dla terenów miast oraz zwartych zabudowanych i przeznaczonych pod zabudowę obszarów wiejskich.

BDOT500 jest w dużym stopniu zharmonizowana z innymi rejestrami państwowego zasobu geodezyjnego i kartograficznego oraz umożliwia redagowanie standardowych opracowań kartograficznych w skalach 1:500 do 1:5 000.
Zasób ten ma stanowić jedno ze źródeł danych dla bazy danych obiektów topograficznych BDOT10k.
BDOT500 jest bazą, która zawiera w sobie te obiekty mapy zasadniczej, prowadzonej zgodnie z wcześniej obowiązującymi przepisami, które nie zostały zakwalifikowane do innych baz danych, o których mowa w Rozporządzeniu w sprawie bazy danych geodezyjnej ewidencji sieci uzbrojenia terenu (Dz.U. 2021 poz. 1374), bazy danych obiektów topograficznych oraz mapy zasadniczej (Dz.U. 2021 poz. 1385) .
BDOT500 zawiera takie kategorie jak:
- budynki niewykazane w ewidencji gruntów i budynków oraz obiekty budowlane trwale związane z budynkiem - OTB,
- budowle - OTD,
- ogrodzenia - OTO,
- komunikacja - OTK,
- zagospodarowanie terenu - OTZ,
- sport i rekreacja - OTS,
- wody - OTW,
- rzeźba terenu - OTR.
Nowelizacja rozporządzenia BDOT z 2021 r.
30 lipca 2021 r. opublikowano rozporządzenie ministra rozwoju, pracy i technologii z dnia 23 lipca 2021 r. w sprawie bazy danych obiektów topograficznych oraz mapy zasadniczej (Dz. U. 2021, poz. 1385), link do rozporządzenia -> tutaj.
Niniejszy akt zastąpił rozporządzenie o tej samej nazwie z 2015 r.

Najważniejszą zmianą powstałą na skutek noweli prawa jest przeniesienie do bazy BDOT500 obiektów, które nie będą już wykazywane w ewidencji gruntów i budynków oraz obiektów budowlanych trwale związanych z budynkiem. Powstanie zatem nowa kategoria - „budynki niewykazane w ewidencji gruntów i budynków oraz obiekty budowlane trwale związane z budynkiem”. W kategorii tej umieszczono obiekty:
- budynek niewymagający inwentaryzacji powykonawczej,
- budynek w budowie,
- kondygnacja nadziemna,
- kondygnacja podziemna,
- łącznik,
- nawis,
- przejazd przez budynek,
- inny rodzaj bloku,
- taras,
- weranda lub ganek,
- wiatrołap,
- schody,
- podpora związana z budynkiem,
- rampa,
- wjazd do podziemia,
- podjazd dla osób niepełnosprawnych.
Z bazy natomiast usunięto: kort tenisowy, tor żużlowy i saneczkowy, skocznia narciarska, odbój lub dalba, poler, suwnica, taśmociąg, estrada, reklama lub tablica informacyjna, bród, przeprawa promowa, obszar objęty drenowaniem, wodospad, źródło, bagno, mokradło czy szuwary. Obiekt zbiornik techniczny, który dotychczas rozróżniał trzy typy obiektu, połączono w jeden. Ten sam zabieg dokonano w przypadku torów.
Przepisy przejściowe zakładają, że powiaty będą miały czas do końca 2022 roku na dostosowanie swoich baz do nowych regulacji. Do prac związanych z zakładaniem BDOT500, których nie zakończono do 31 lipca 2021 r. stosuje się już nowe przepisy. Dotychczasowe regulacje można natomiast stosować w pracach związanych z aktualizacją BDOT500, ale nie później niż do końca 2021 r.
Sprawdź dane o uzbrojeniu terenu w Raportach o Terenie
Zespół OnGeo ma dla Ciebie dobrą wiadomość. Od listopada w Raportach o Terenie udostępniliśmy informację o uzbrojeniu działki w media, dzięki czemu kompleksowa informacja o cechach nieruchomości dostępna w raporcie o działce została wzbogacona o jedno z najcenniejszych informacji o terenie.
Sam wybierasz, których cech nieruchomości potrzebujesz. Raport możesz pobrać w zaledwie 5 minut, a gotowy dokument dostaniesz na swój adres mailowy.
Zdiagnozuj działkę samodzielnie nie wychodząc z domu!
Mapa uzbrojenia terenu dostępna jest w zakładce Infrastruktura pod nazwą Uzbrojenie działki w media.
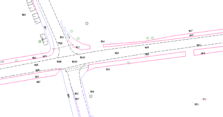
Poniżej prezentujemy jak wygląda fragment Raportu o terenie z tematem uzbrojenie terenu w media.

Uwaga! Mapa może nie prezentować danych o sieciach uzbrojenia terenu w przypadku, gdy urząd powiatowy ich nie posiada w wersji cyfrowej lub wstrzymuje ich udostępnianie. OnGeo nie ma wpływu na dostępność informacji o uzbrojeniu, ponieważ bazuje na danych zewnętrznych (powiatowych), co skutkuje nie pobieraniem opłat za temat uzbrojenie terenu w media w Raporcie.
Redaktorka w OnGeo.pl. Analityczka danych i specjalistka rynku nieruchomości.
Zdiagnozuj działkę.
Wyszukaj na mapie!
- Baza GESUT geodezyjna ewidencja sieci uzbrojenia terenu
- Uzbrojenie działki - gdzie sprawdzić media na działce
- Raport planowanych inwestycji - wydane pozwolenia na budowę
- Rejestr pozwoleń na budowę jak sprawdzić wydane pozwolenia na budowę?
- Wyrok sygn. akt II Sa/Wa 2222/20zy- numer księgi wieczystej to dane osobowe!
- Zakopane śmieci pod działką i czyste rejestry. Co ujawniły archiwalne zdjęcia lotnicze
- Metro Polska: rząd analizuje budowę metra w 10 największych miastach. Tunele mają też chronić mieszkańców
- Co piąta gmina bez strategii rozwoju. Do 1 lipca obowiązek, a 457 samorządów nie zaczęło prac
- Program Mirek 2026: do 8 000 zł na deszczówkę dla właścicieli domów
- Masz w domu książeczkę mieszkaniową z PRL? Państwo wypłaci ci nawet 20 tysięcy złotych
- KOD ZNIŻKOWY 7% na zakup Raportu o Terenie OnGeo.pl
-
DARMOWA CHECK-LISTA:
Co sprawdzić przed zakupem działki?
70 PYTAŃ, na które musisz odpowiedzieć zanim kupisz działkę!
-
DARMOWA CHECK-LISTA:
Jakie informacje powinno zawierać idealne ogłoszenie sprzedaży działki?