Osnowa geodezyjna jest jednym z najważniejszych pojęć w słowniku każdego geodety. Stanowi ona sieć połączonych ze sobą punktów geodezyjnych rozlokowanych na terenie całego kraju. Dopiero na ich podstawie mierniczy wykonuje pomiary w terenie. Dzisiaj omówię, jakie są rodzaje osnowy geodezyjnej, gdzie znajdują się punkty do pomiaru i do czego są potrzebne.
Punkt geodezyjny - czym jest osnowa geodezyjna?
- Osnowa geodezyjna to zbiór punktów umieszczonych na powierzchni ziemi, służący jako podstawa dla prac geodezyjnych i kartograficznych.
- Punkty osnowy są trwale umocowane za pomocą wytrzymałych materiałów, takich jak słupki betonowe, stalowe trzpienie i gwoździe.
- Każdy punkt osnowy ma własny numer identyfikacyjny i jest oznaczony odpowiednimi znakami geodezyjnymi.
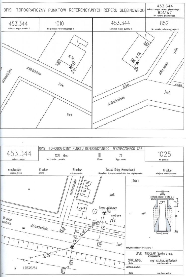
- Opis topograficzny punktu osnowy umożliwia jego odnalezienie i odtworzenie w razie uszkodzenia.
- Osnowa geodezyjna dzieli się na trzy klasy dokładnościowe: osnowa podstawowa fundamentalna, osnowa podstawowa bazowa i osnowa szczegółowa.
Czym jest osnowa geodezyjna?
Osnowa geodezyjna to usystematyzowany zbiór punktów, które zostały trwale umieszczone na powierzchni ziemi, zarówno w gruncie, jak i na budowlach. Ten punkty geodezyjne stanowią bazę dla prac geodezyjnych i kartograficznych.
Osnowę utrwala się na powierzchni ziemi w sposób trwały, czyli za pomocą wytrzymałych materiałów, pozwalającym im przetrwać nawet bardzo trudne warunki atmosferyczne. Punkty stabilizuje się za pomocą słupków betonowych, stalowych trzpieni, a czasami również za pomocą specjalnych gwoździ zatopionych w betonie. Umieszcza się je w miejscach dobrze dostępnych - na wieżach, mostach, budynkach i innych trwałych konstrukcjach. Każdy punkt osnowy geodezyjnej jest oznaczony odpowiednimi znakami oraz własnym numerem identyfikacyjnym, które precyzyjnie określają jego położenie. Wyznaczenie tego położenia odbywa się na podstawie współrzędnych geograficznych oraz wysokościowych.
Z punktów osnowy wykonuje się opis topograficzny, który umożliwia odnalezienie go w terenie oraz odtworzenie miejsca, w którym się znajduje, w razie gdyby jednak uległ uszkodzeniu.

Osnowa geodezyjna jest niezbędna do zapewnienia jednolitości prac geodezyjnych i kartograficznych oraz umożliwienia precyzyjnego określania położenia punktów na danym obszarze, bez konkretnego odwoływania się do poszczególnych punktów.
W OnGeo.pl sprawdzisz współrzędne punktów punktów granicznych działki
W Raporcie o terenie dostaniesz współrzędne punktów granicznych i punktów linii załamania działki w formie tekstowej oraz osobno w przejrzystej formie do pobrania z pliku .txt, .klm, csv oraz gpx.

Pliki do pobrania wyświetlą się w oknie po zakupie Raportu.

Dowiedz się więcej:
Rodzaje osnów geodezyjnych
Osnowa geodezyjna dzieli się ze względu na sposób przedstawienia wzajemnego położenia na:
- Poziomą, która określa wzajemne położenie punktów na powierzchni ziemi, nie uwzględniając różnic wysokościowych;
- Wysokościową, która określa wysokość punktów w stosunku do określonego poziomu odniesienia. Obecnie funkcjonującym odniesieniem wysokościowym jest odniesione do średniego poziomu Morza Bałtyckiego w Zatoce Fińskiej, wyznaczonego dla mareografu w Kronsztadzie koło Petersburga w Rosji;
- Dwufunkcyjną, która spełnia funkcję zarówno osnowy poziomej, jak i wysokościowej.

Każda osnowa dzieli się również na klasy dokładnościowe oraz sposób jej zakładania. Wyróżniamy trzy klasy dokładnościowe:
- 1 klasa - osnowa podstawowa fundamentalna
Zawiera punkty wyznaczone w sieciach o najwyższym poziomie dokładności; - 2 klasa - osnowa podstawowa bazowa
Tworzą ją punkty wytyczone w sieciach o najwyższej precyzji. Rozmieszczane są równomiernie na terenie całego kraju, realizując układy odniesienia zawarte w geodezyjnej osnowie podstawowej fundamentalnej; - 3 klasa - osnowa szczegółowa
Jest rozwinięciem osnowy podstawowej. Ma zastosowanie do nawiązywania sieci osnów pomiarowych, a także służy bezpośrednio do wykonywania pomiarów geodezyjnych, zdjęć fotogrametrycznych oraz opracowań numerycznych modeli danego terenu. Na zagęszczenie punktów osnowy szczegółowej wpływ ma przede wszystkim stopień zurbanizowania terenu i przeznaczenie terenu. Jeśli np. plan miejscowy określa teren jako przeznaczony do zabudowy mieszkaniowej, to na danym obszarze znajdzie się znacznie więcej punktów osnowy klasy 3 niż na terenie o przeznaczeniu rolnym.
Przeczytaj także:
Zakładanie i pomiar osnowy geodezyjnej
W celu ustanowienia osnów geodezyjnych, grawimetrycznych i magnetycznych, konieczne jest umieszczenie nowych znaków geodezyjnych i przeprowadzenie pomiarów. Podczas wykonywania geodezyjnych pomiarów sytuacyjnych i wysokościowych korzysta się z materiałów z Państwowego Zasobu Geodezyjnego i Kartograficznego (PZGiK).
Podstawowymi metodami zakładania osnów geodezyjnych są:
- Bezpośrednie pomiary geodezyjne;
- Technologia GPS;
- Pomiary mieszane oparte na analizie zdjęć fotogrametrycznych.
Proces zakładania osnów geodezyjnych odbywa się zgodnie z zasadą od ogółu do szczegółu. Na początku na dużych obszarach zakłada się najdokładniejsze sieci o długich bokach. Następnie do tych sieci dołącza się kolejne sieci, które posiadają większą gęstość punktów i mniejszą dokładność wyznaczania ich położenia.
Sieci geodezyjne o największej dokładności i najmniejszej gęstości, obliczane jednocześnie na całym obszarze kraju, tworzą osnowę podstawową. Służy ona do nawiązywania osnów szczegółowych oraz do celów badawczych, takich jak badanie kształtu i rozmiarów Ziemi czy ruchów kontynentów.
Redaktorka w OnGeo.pl. Analityczka danych i specjalistka rynku nieruchomości.
Zdiagnozuj działkę.
Wyszukaj na mapie!
- Zakopane śmieci pod działką i czyste rejestry. Co ujawniły archiwalne zdjęcia lotnicze
- Metro Polska: rząd analizuje budowę metra w 10 największych miastach. Tunele mają też chronić mieszkańców
- Co piąta gmina bez strategii rozwoju. Do 1 lipca obowiązek, a 457 samorządów nie zaczęło prac
- Program Mirek 2026: do 8 000 zł na deszczówkę dla właścicieli domów
- Masz w domu książeczkę mieszkaniową z PRL? Państwo wypłaci ci nawet 20 tysięcy złotych
- KOD ZNIŻKOWY 7% na zakup Raportu o Terenie OnGeo.pl
-
DARMOWA CHECK-LISTA:
Co sprawdzić przed zakupem działki?
70 PYTAŃ, na które musisz odpowiedzieć zanim kupisz działkę!
-
DARMOWA CHECK-LISTA:
Jakie informacje powinno zawierać idealne ogłoszenie sprzedaży działki?